John y Helene: Ciclones obligan a suspender clases en Guerrero y Yucatán
Actualmente John se desplaza como tormenta tropical en costas de Guerrero, mientras que Helene es ya huracán categoría 1, y mantiene su rumbo a Estados Unidos.
- Redacción AN / ES

Los estragos provocados por los huracanes John y Helene han obligado a que autoridades de Guerrero y Yucatán suspendan las clases presenciales.
La Secretaría de Educación de Guerrero informó este miércoles mediante un comunicado que se suspenderían las actividades escolares y académicas en todos los niveles académicos, públicas y privadas, “hasta nuevo aviso”.
John, que alcanzó a convertirse en huracán categoría 3, actualmente se desplaza como tormenta tropical en costas de Guerrero, dado que el Consejo Estatal de Protección Civil emitió medidas preventivas a la población ante la evolución del ciclón.
Recomendó a los guerrerenses mantenerse atentos a la información oficial tanto de la Secretaría de Educación, como del gobierno estatal.
Te podría interesar > ‘John’ resurge como tormenta tropical e impactará de nuevo México
Al mantener la suspensión de clases presenciales, este jueves 26 de septiembre sería el tercer día consecutivo en mantener a los estudiantes en sus hogares.
Ocho municipios, sin clases presenciales en Yucatán por Helene
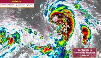
Por otro lado, en el caso del huracán categoría 1 Helene, el gobierno de Yucatán determinó implementar una medida similar pero en 8 municipios.
Helene se localizó por la tarde de este miércoles muy cerca de la costa norte de Quintana Roo; sin embargo, según el pronóstico del Servicio Meteorológico Nacional, el ciclón mantendrá su trayecto hacia Estados Unidos cruzando el Golfo de México.
Mauricio Vila, gobernador de Yucatán, difundió a través de redes sociales un comunicado en el que se informa sobre el paro de labores en los institutos académicos.
Los municipios donde se suspenderán las clases presenciales son: Río Lagartos, San Felipe, Panabá, Buctzotz, Sucilá, Espita, Calotmul y Tizimín. En todas las demarcaciones se mantiene alerta naranja debido al paso del huracán Helene.
Te podría interesar > Helene se transformó en huracán categoría 1 frente a la península de Yucatán
“Se suspenden las clases en todas sus modalidades y en todos los niveles en el turno vespertino de hoy 25 de septiembre y mañana 26 de septiembre, en ambos turnos, reanudándose el próximo viernes 27 de septiembre“.
Por último, el gobierno estatal llamó a la población a mantenerse informado de los avisos que emitan las autoridades competentes, a través de los canales oficiales.




