Otis, el huracán más fuerte en la historia del Pacífico oriental: NOAA
La institución estadounidense recordó que en la era moderna sólo el huracán Patricia superó el registro de Otis, el cual alcanzó una velocidad de 325 km/h.
- Redacción AN / ES

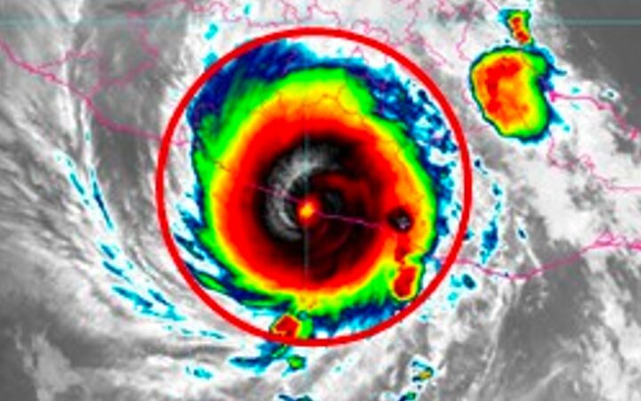
Otis fue considerado como el huracán más fuerte registrado en la historia del Pacífico oriental por la Oficina Nacional de Administración Oceánica y Atmosférica (NOAA, por sus siglas en inglés).
En una nota informativa la NOAA catalogó al huracán Otis como el “más fuerte del Pacífico oriental que tocó tierra en la era de los satélites“.
La institución estadounidense recordó que en la era moderna sólo el huracán Patricia superó el registro de Otis en relación a la rápida intensificación de un ciclón en un periodo de 24 horas.
Otis evolucionó de tormenta tropical a huracán categoría 5 en menos de 24 horas al aumentar 115 millas por hora ( equivale a 185 kilómetros por hora); mientras que Patricia en el mismo periodo logró aumentar 120 millas por hora (192 kilómetros por hora).
Patricia, catalogado como el más peligroso de la historia, alcanzó una velocidad de 325 kilómetros por hora y causó 6 muertes en México, durante su paso por Jalisco y Colima en 2015.
Por otra parte, Otis ingresó a Acapulco, Guerrero, como huracán categoría 5 con vientos máximos sostenidos de 265 km/h, según el Centro Meteorológico Especializado de la Organización Meteorológica Mundial (OMM) en Miami.
Este último huracán causó la muerte de 47 personas, según el más reciente reporte de la Coordinación Nacional de Protección Civil.
La NOAA afirma que sus satélites continuarán monitoreando el clima, incluida la actividad de ciclones tropicales, las 24 horas del día, los 7 días de la semana.




